Skip to content
viernes, Abr 17, 2026
Noticias de ultima hora!!
RENUNCIA CITLALLI HERNÁNDEZ A LA SECRETARÍA DE LAS MUJERES; SE INTEGRARÁ A MORENA RUMBO A 2027
DIF HUATUSCO INVITA A CONFERENCIA SOBRE AUTISMO «COMPRENDER PARA ATENDER»
HUATUSCO FORTALECE LA EDUCACIÓN EN COMUNIDADES RURALES CON FIRMA DE CONVENIO CON CONAFE
CON LA ENTREGA DE DESAYUNOS ESCOLARES FRÍOS, SE BENEFICIAN 1600 ALUMNOS DE 68 ESCUELAS
CONFORMAN CONSEJO DE DESARROLLO RURAL EN IXHUATLÁN DEL CAFÉ
LOS CATEOS Y LA FGE EN VERACRUZ
ESTADOS UNIDOS ANUNCIA CONTROL MILITAR DEL ESTRECHO DE ORMUZ TRAS FRACASO DE NEGOCIACIONES CON IRÁN
MARÍA DEL ROSARIO SÁNCHEZ APONTE, DE HUATUSCO, SE ALISTA PARA SU PRIMER RETO DE 100 KM EN MONTAÑA
NOTIFICAN POR RETIRO DE AUTOS MACETA EN IXHUATLÁN DEL CAFÉ
HUATUSCO FORTALECE ALIANZAS PARA IMPULSAR EL SECTOR CAFETALERO RUMBO A TAZA DE EXCELENCIA MÉXICO 2026
PT SOLICITARÁ RECUENTO TOTAL E IMPUGNARÁ ELECCIÓN EXTRAORDINARIA EN TAMIAHUA
MERCADO DE MARISCOS IMPULSA LA ECONOMÍA LOCAL EN HUATUSCO
  • Facebook
  • Twitter
El Imparcial de Huatusco

El Imparcial de Huatusco

Periodismo de Verdad.

  • Inicio
  • General
  • Estatal
  • Opinión
  • Deportes
  • Cultura
  • Sociedad
  • Nacional
  • Internacional
  • Política
  • Pin Posts

Tendencias...

1

GUARDAN MINUTO DE SILENCIO POR MUJERES Y PERIODISTAS ASESINADOS EN EL PAÍS

4 años ago
2

CANDIDATA A JUEZ CAUSA POLÉMICA EN REDES SOCIALES

1 año ago
3

PRETENDEN CREAR EL INSTITUTO NACIONAL DE ELECCIONES SINDICALES

4 años ago
4

ASESINAN AL PERIODISTA MAURICIO CRUZ SOLÍS EN EL CENTRO DE URUAPAN

1 año ago
5

EXIGE PAN COMPRAR MEDICINAS Y EQUIPO CON 4 MIL MILLONES GUARDADOS PARA LA RIFA DEL AVIÓN PRESIDENCIAL

6 años ago
6

REALIZAN FORO PARA REVISAR EL PROGRAMA DE ESCUELAS DE TIEMPO COMPLETO

4 años ago
7

CLUB DE PERIODISTAS DE MÉXICO A.C. ENTREGARÁ PREMIO NACIONAL E INTERNACIONAL DE PERIODISMO

6 años ago
8

CIERRAN BARES, CINES, GIMNASIOS Y DEMÁS ESTABLECIMIENTOS EN LA CIUDAD DE MÉXICO

6 años ago
9

CALCINAN A PRECANDIDATO DE MORENA EN CHIAPAS

5 años ago
10

ENCUENTRAN 15 CADÁVERES APILADOS EN UNA CARRETERA EN ZACATECAS

6 años ago
11

IXHUATLÁN DEL CAFÉ PRESENTE EN EL CIRCUITO CULTURAL CUAUHTÉMOC DE LA CDMX

6 años ago
12

CELEBRA CAZARÍN INICIO DE PRODUCCIÓN EN DOS BOCAS

3 años ago
  • Home
  • 2020
  • agosto
  • 26

Día: 26 de agosto de 2020

  • General
  • Notas Recientes

PAIMEF E ICMI REALIZARÁN JORNADA DE ATENCIÓN A MUJERES EN SITUACIÓN DE VIOLENCIA

Imparcial de Huatusco 6 años ago
PAIMEF E ICMI REALIZARÁN JORNADA DE ATENCIÓN A MUJERES EN SITUACIÓN DE VIOLENCIA

Córdoba, Ver Los días 27 y 28 de agosto, la […]

0 0
Share
  • Estatal
  • Lo más destacado
  • Notas Recientes

LEGISLADORA REALIZA MESA DE TRABAJO PARA CREAR LEY CONTRA EL SOBREPESO Y LA OBESIDAD

Imparcial de Huatusco 6 años ago
LEGISLADORA REALIZA MESA DE TRABAJO PARA CREAR LEY CONTRA EL SOBREPESO Y LA OBESIDAD

La diputada Cristina Alarcón Gutiérrez, sostuvo una reunión de trabajo […]

0 0
Share
  • General
  • Notas Recientes

ANUNCIA PRESIDENTA MUNICIPAL SEGUNDA ETAPA DEL PROGRAMA DE EMPLEO TEMPORAL CÓRDOBA CONTIGO

Imparcial de Huatusco 6 años ago
ANUNCIA PRESIDENTA MUNICIPAL SEGUNDA ETAPA DEL PROGRAMA DE EMPLEO TEMPORAL CÓRDOBA CONTIGO

Córdoba, Ver La presidenta municipal, Leticia López Landero, anunció que […]

0 0
Share
  • Deportes
  • Lo más destacado
  • Notas Recientes

SE INSCRIBEN CORDOBESES A CURSO PARA PREPARAR RETORNO PAULATINO Y SEGURO DEL DEPORTE

Imparcial de Huatusco 6 años ago
SE INSCRIBEN CORDOBESES A CURSO PARA PREPARAR RETORNO PAULATINO Y SEGURO DEL DEPORTE

Córdoba, Ver El Director de Educación y Deporte del Ayuntamiento […]

0 0
Share
  • Internacional
  • Lo más destacado
  • Notas Recientes

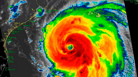
HURACÁN LAURA PODRÍA PROVOCAR DAÑOS CATASTRÓFICOS

Imparcial de Huatusco 6 años ago
HURACÁN LAURA PODRÍA PROVOCAR DAÑOS CATASTRÓFICOS

El huracán Laura, que avanza hacia los estados de Texas […]

0 0
Share

Recomendaciones.

PODCAST

TWITTER

Tweets by idehuatusco
contador de visitas
Visitantes
  • Facebook
  • Twitter